Biodiversidade
Habitats
Marinhas

1170 – Recifes

1170 – Recifes

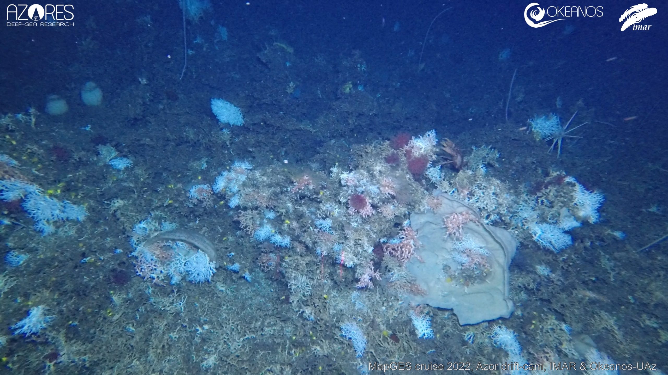
Habitat submarino ou exposto na maré baixa, em substratos rochosos e concreções biogénicas, geralmente na zona sublitoral, podendo atingir a zona litorânea. Suporta uma zoniação de comunidades bentónicas de algas e animais, incluindo incrustações e concretões corallogénicos.

 

Fotografias:

IMAR – Okeanos – Universidade dos Açores. (2024). Azores deep-sea research: MapGES Cruise 2024, Azores Drift-Cam. IMAR-Okeanos-UAz.

 

Habitat 1170_Cavala – Denso jardim de colónias de Dentomuricea aff. meteor, juntamente com esponjas massivas. Outros octocorais, como Candidella cf. Imbricata e Callogorgia verticillata também ocorrem nesta área.
Habitat 1170_Flores_NE – Denso jardim dos corais Madrepora oculata, Lophelia pertusa dominam um fundo dominado por uma estrutura biogénica constituída por colónias parcialmente mortas. Corais moles, esponjas lamelares e Pheronema carpenteri também fazem parte desta comunidade diversa.
Habitat 1170_Bicuda – Afloramentos ocasionais que suportam uma fauna séssil pobre, incluindo plexaurídeos ocasionais e presença de Chrysogorgia sp.
Habitat 1170_São Miguel_NW – Presença de colónias de grande porte do género Placogorgia que colonizam encostas de perfil acentuado em redor da ilha.
Habitat 1170_Flores NW – Denso jardim de coral dominado por morfótipos brancos e vermelhos do coral Paragorgia johnsoni relativamente em bom estado de conservação.

Galeria


O projeto LIFE IP AZORES NATURA (LIFE17 IPE/PT/000010) é cofinanciado pela União Europeia através do Programa LIFE.
A responsabilidade exclusiva pelo conteúdo deste Website reside nos autores, não refletindo necessariamente a opinião da União Europeia.
Nem a CINEA nem a Comissão Europeia são responsáveis por qualquer uso que possa ser feito da informação contida na página.